Cuba prepares for destructive power of Hurricane Irma
The core of the hurricane is expected to move between the north coast of Cuba and the Bahamas
Watch CBS News
The core of the hurricane is expected to move between the north coast of Cuba and the Bahamas
The incident prompted the closure of a busy a concourse as travelers tried to flee from Hurricane Irma
Forecasters warn Irma could slam headlong into the Miami metropolitan area and punish the entire length of Florida's Atlantic coast
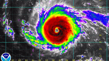
Irma weakened only slightly Thursday from its peak, remaining a powerful Category 5 storm with winds of 175 mph
In Florida, more than half a million people live in mandatory evacuation zones, and gridlock gripped I-95 all the way to Orlando
Irma is bigger and has a 90-degree different path of potential destruction, meteorologists say
Comcast has opened 137,000 Wi-Fi hotspots in Florida and more in Georgia and South Carolina as Hurricane Irma approaches
Police will guard trucks delivering fuel to gas stations as the state braces for massive storm
2-year-old among the dead as dangerous Category 5 storm pummels region and roars toward Florida
Here are some last-minute tips to help you prepare for the storm
Hurricane Irma may be a threat not only to south Florida but also the Florida Keys and Cuba
The U.S. Hurricane Center says a watch has been issued for the Florida Keys, and from the Juniper Inlet southward to Bonita Beach
Meteorologists can get an increasingly strong idea of where a storm like Irma is heading using a variety of computer simulations
Workers at NASA's Kennedy Space Center in Florida are rushing to complete preparations for Hurricane Irma
Outside of the Basilica of Saint Mary Star of the Sea in Key West, Fla., stands a grotto many believe protected the island for decades
No other storm in recorded history has maintained top winds of 185 mph for 37 hours
Gov. Rick Scott urged Floridians to listen to their local officials and "get out when they say to get out"
More than two dozen high-rise construction cranes cannot be taken down before Irma arrives
Polk County Sheriff Grady Judd warns sex offenders, anyone with outstanding warrant, only shelter will be jail
The people who blow down houses for a living explain how you can minimize losses from the fiercest storm in years
Securing your home is vital, but so is securing your important records and documents, especially if you evacuate
Irma's eye passed just north of Puerto Rico with maximum sustained winds of 185 mph
Florida law against price gouging doesn't apply to airline tickets -- and some customers see thousand-dollar flights
Many Floridians have been left scrambling to find supplies to board up homes and businesses before Irma makes landfall
There's no immediate threat to land from Jose, but meteorologists warned the storm's path could change, according to the National Hurricane Center
The deal, approved by the FCC, would create a company that owns 265 television stations in 44 states and Washington, D.C.
President Trump has lobbed insults at Pope Leo XIV in response to his criticisms of the war in Iran, marking an unusually pronounced rupture between the leaders of the world's most powerful country and the world's largest Christian denomination.
A reported tornado in Lena, Illinois, about 47 miles west of Rockford, has caused extensive storm damage, including possibly to schools that had students inside at the time.
Spirit executives and other low-cost carriers are expected to meet with Transportation Secretary Sean Duffy next week.
Rising jet fuel prices are forcing airlines to cut routes and trim schedules.
The disappearances and deaths of 10 government workers tied to nuclear or space technology have sparked speculation online. President Trump said the cases are "hopefully, coincidence."
Maria Medetis Long, who was overseeing a criminal investigation into whether former CIA Director John Brennan lied to Congress is no longer assigned to the case.
The decision from U.S. District Judge Mary McElroy marks the Justice Department's fifth loss in its attempts to access states' voter registration lists.
President Trump spoke with CBS News Friday in a new telephone interview.
Prices dropped after Iran's foreign minister said the Strait of Hormuz is "completely open" for the remainder of the Israel-Lebanon ceasefire.
White House officials are leaning on Utah Republicans to further examine ethics concerns regarding a relationship between two key players in a key gerrymandering case, sources told CBS News.
The Trump administration is considering a renewed diplomatic push that could send officials back to Pakistan within days, sources said.
The House and Senate have now passed a 10-day extension for the controversial warrantless surveillance law.
Households are starting to make room in their budgets for spending on generative AI subscriptions, new data shows.
A look at the features for this week's broadcast of the Emmy-winning program, hosted by Jane Pauley.
The incident occurred around 12:10 a.m. local time on Tuesday, according to the Federal Aviation Administration.
Cameron Hamilton was acting leader of FEMA last year and was ousted after telling Congress that the agency should not be eliminated.
The recall affects F-150 vehicles quipped with a six-speed automatic transmission produced between March 12, 2014, and Aug. 18, 2017, according to NHTSA.
More than 51 million people are under the threat of severe weather Friday evening from Texas to Wisconsin, as some are still cleaning up from tornadoes earlier in the week.
The Ford station wagon thought to belong to the Martin family was found in 2024 by a diver who had been looking for it for several years.
Big retailers are embracing agentic commerce as a new way to shop. But you should think twice before handing over your credit card, tech experts say.
"We are carrying back everything we learned, not only about where we went but ourselves," mission specialist Christina Koch told "CBS Evening News" anchor Tony Dokoupil.
Todd Lyons, the acting head of U.S. Immigration and Customs Enforcement, is planning to leave the federal government later this spring.
The technology would enhance Iran's ability to detect and track incoming threats, like low-flying drones and cruise missiles.
Health Secretary Robert F. Kennedy Jr. testified before the House Ways and Means Committee on Thursday, kicking off an expected sprint of seven budget hearings he'll attend over the next week.
The deal, approved by the FCC, would create a company that owns 265 television stations in 44 states and Washington, D.C.
President Trump has lobbed insults at Pope Leo XIV in response to his criticisms of the war in Iran, marking an unusually pronounced rupture between the leaders of the world's most powerful country and the world's largest Christian denomination.
A reported tornado in Lena, Illinois, about 47 miles west of Rockford, has caused extensive storm damage, including possibly to schools that had students inside at the time.
Spirit executives and other low-cost carriers are expected to meet with Transportation Secretary Sean Duffy next week.
Rising jet fuel prices are forcing airlines to cut routes and trim schedules.
The deal, approved by the FCC, would create a company that owns 265 television stations in 44 states and Washington, D.C.
Rising jet fuel prices are forcing airlines to cut routes and trim schedules.
Prices dropped after Iran's foreign minister said the Strait of Hormuz is "completely open" for the remainder of the Israel-Lebanon ceasefire.
Households are starting to make room in their budgets for spending on generative AI subscriptions, new data shows.
The recall affects F-150 vehicles quipped with a six-speed automatic transmission produced between March 12, 2014, and Aug. 18, 2017, according to NHTSA.
The deal, approved by the FCC, would create a company that owns 265 television stations in 44 states and Washington, D.C.
A delegation of senior State Department representatives traveled to Cuba via a U.S. government plane last week, officials said, a diplomatic opening amid intense pressure from the Trump administration.
President Trump has lobbed insults at Pope Leo XIV in response to his criticisms of the war in Iran, marking an unusually pronounced rupture between the leaders of the world's most powerful country and the world's largest Christian denomination.
Sources close to Supreme Court Justices Samuel Alito and Clarence Thomas tell CBS News neither is planning to retire this year.
Maria Medetis Long, who was overseeing a criminal investigation into whether former CIA Director John Brennan lied to Congress is no longer assigned to the case.
President Trump nominated a new director for the Centers for Disease Control and Prevention on Thursday. Dr. Erica Schwartz is a former deputy surgeon general and retired Coast Guard rear admiral.
Health Secretary Robert F. Kennedy Jr. testified before the House Ways and Means Committee on Thursday, kicking off an expected sprint of seven budget hearings he'll attend over the next week.
CBS News reported Wednesday that Dr. Erica Schwartz was emerging as the president's top pick for the role.
Ibogaine is used in Mexico and the Caribbean to treat depression, anxiety, addiction and brain trauma.
According to new CDC data, there were 3.6 million U.S. births in 2025, a 1% decline from 2024 and down 23% since 2007. The Trump administration has said it wants to reverse this trend.
A delegation of senior State Department representatives traveled to Cuba via a U.S. government plane last week, officials said, a diplomatic opening amid intense pressure from the Trump administration.
President Trump has lobbed insults at Pope Leo XIV in response to his criticisms of the war in Iran, marking an unusually pronounced rupture between the leaders of the world's most powerful country and the world's largest Christian denomination.
President Trump spoke with CBS News Friday in a new telephone interview.
The Trump administration is considering a renewed diplomatic push that could send officials back to Pakistan within days, sources said.
Reporters from CBS News carefully arranged a risky trip into the Strait of Hormuz. Here's what they saw.
David Burke, a singer who performs under the name d4vd, is behind bars on suspicion of murder. He was arrested after the body of a 14-year-old girl was found in the trunk of his Tesla in September 2025. Matt Gutman reports.
Actor Val Kilmer died last April, and yet he is starring in a new movie, made after his death. Jo Ling Kent reports on how filmmakers resurrected his voice and image by using artificial intelligence.
(Warning: Spoilers ahead!) "CBS Mornings" reveals a surprising twist in Wednesday's "Survivor 50" episode that led to a historic trial council ceremony.
A jury ruled that Live Nation and Ticketmaster operated as an illegal monopoly. Variety's Jem Aswad joins CBS News with more.
Simon Helberg, known for his role as Howard in "The Big Bang Theory," talks about the new show "The Audacity." Helberg plays a developer who is creating an AI companion. He explains what drew him to the role and discusses the show's messages about humanity and technology.
Millions of Americans get health information from podcasts. Now, some medical experts are warning about the harmful impacts of misinformation on these programs. CBS News medical contributor Dr. Céline Gounder has more.
Big retailers are embracing agentic commerce as a new way to shop. But you should think twice before handing over your credit card, tech experts say.
From labor shortages to environmental impacts, farmers are looking to AI to help revolutionize the agriculture industry. One California startup, Farm-ng, is tapping into the power of AI and robotics to perform a wide range of tasks, including seeding, weeding and harvesting.
Actor Val Kilmer died last April, and yet he is starring in a new movie, made after his death. Jo Ling Kent reports on how filmmakers resurrected his voice and image by using artificial intelligence.
More concerns are emerging about Anthropic's new Mythos AI model. Matt Shumer, a former AI company founder and CEO, joins CBS News with more details.
Colorado State University has released its annual Atlantic hurricane forecast, predicting 13 named storms and six hurricanes may develop during the 2026 season.
Scientists have found evidence that a 300-million-year-old sea creature previously thought to be the world's oldest octopus is actually a nautilus relative.
Last month was the hottest March on record for the Lower 48 states, by the most for any month ever, federal data shows. And a forecast El Niño could heat Earth even more.
The emperor penguin has been declared an endangered species as climate change pushes the icon of Antarctica a step closer to extinction, the global authority on threatened wildlife says.
The astronauts aboard Artemis II are the first humans to see some parts of the far side of the moon with the naked eye.
David Burke, a singer who performs under the name d4vd, is behind bars on suspicion of murder. He was arrested after the body of a 14-year-old girl was found in the trunk of his Tesla in September 2025. Matt Gutman reports.
Acting head of U.S. Immigration and Customs Enforcement Todd Lyons is planning to leave his post soon, U.S. officials familiar with his plan told CBS News. Camilo Montoya-Galvez reports.
Immigration and Customs Enforcement agent Gregory Morgan Jr. of Temple Hills, Maryland, is facing assault charges for allegedly pointing a gun at two people in Minnesota. CBS News' Jonah Kaplan reports.
An environmentalist who survived an assassination attempt spoke during the presentation of a report that documented the killing of 10 activists in Mexico in 2025.
Arizona Democratic Sen. Ruben Gallego is denying allegations of misconduct after his friend, California Rep. Eric Swalwell, resigned from his post over sexual misconduct accusations. CBS News' Nikole Killion reports.
"We are carrying back everything we learned, not only about where we went but ourselves," mission specialist Christina Koch told "CBS Evening News" anchor Tony Dokoupil.
The four Artemis II astronauts struggled to describe the view and overall experience of flying around the moon's far side and witnessing a solar eclipse in deep space.
People on the ground in the Eastern Hemisphere will be able to observe the asteroid with their own eyes, weather permitting, according to NASA.
The Artemis II astronauts flew back to the Johnson Space Center in Houston Saturday to cheers and applause from family members and hundreds of NASA workers.
The Artemis II crew's nine-day moon mission set a record for the farthest any human has ever traveled from Earth. Here's a look at the key moments.
A look back at the esteemed personalities who've left us this year, who'd touched us with their innovation, creativity and humanity.
Does the evidence show a cover-up, or was Todd Kendhammer wrongfully convicted for the murder of his wife?
Christy Salters-Martin dominated in the boxing ring but faced her toughest challenger at home.
Family seeks answers in death of newlywed who disappeared in 2005 while on Mediterranean honeymoon cruise.
Meet the tattooed beauty charged in the death of Google executive Forrest Hayes.
Pope Leo XIV visited Cameroon on his tour of Africa. He garnered a crowd of around 120,000 people for mass in Douala. He also spoke with students and faculty at the Catholic University of Central Africa and attended a Catholic hospital. The visit came amid his ongoing feud with President Trump.
Pope Leo was in Angola on Friday for the third leg of his tour of Africa after he held a mass in Cameroon in front of roughly 120,000 people. CBS News' Chris Livesay reports and Michelle Boorstein, a religion reporter at the Washington Post, has more.
U.S. officials tell CBS News that days after the war with Iran started, U.S. intelligence detected that China was weighing whether to supply Iran with advanced radar technology. CBS News national security contributor Sam Vinograd has more.
President Trump and Iran proclaimed on Friday that the Strait of Hormuz is open. Political strategists Hannah Muldavin and Kevin Sheridan join "The Takeout" with analysis.
An Idaho boy volunteered with his dad at a recreation center for people with special needs. For his birthday party, he wanted all of them there. Steve Harman goes "On the Road" with the story about Grant Mullen's wish.