Puerto Rico imposes rationing as Hurricane Maria approaches
Officials said rationing is necessary to ensure everyone has access to basic items such as batteries, milk, canned foods, flashlights and other supplies
Watch CBS News
Officials said rationing is necessary to ensure everyone has access to basic items such as batteries, milk, canned foods, flashlights and other supplies
One of the most powerful Atlantic hurricanes ever recorded sets its sights on the Caribbean and Florida
Forecasters warn Irma could slam headlong into the Miami metropolitan area and punish the entire length of Florida's Atlantic coast
2-year-old among the dead as dangerous Category 5 storm pummels region and roars toward Florida
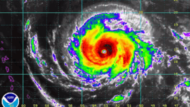
Meteorologists can get an increasingly strong idea of where a storm like Irma is heading using a variety of computer simulations
Irma's eye passed just north of Puerto Rico with maximum sustained winds of 185 mph
Most powerful Atlantic Ocean hurricane ever recorded lashing some Caribbean islands as Florida braces
Hurricane Irma's strength is result of unusually warm water for that part of the Atlantic, experts say
Tropical Storm Jose is the 10th tropical storm of the season and is heading toward Antigua and perhaps United States
Powerful storm intensifies as residents of islands and Florida scramble to prepare
"Preparations within the warning area should be rushed to completion," National Hurricane Center says
Hurricane watches posted for Antigua and Barbuda, Anguilla, Montserrat, St. Kitts and Nevis, St. Martin, Guadeloupe and British Virgin Islands
Animal welfare groups team up to save canines destined for euthanasia in overcrowded Puerto Rican shelters
Nearly half a million votes were cast for statehood, about 7,600 for free association/independence and nearly 6,700 for the current territorial status, according to prelim results
Congress has final say over whether to approve outcome of vote that offers voters 3 choices: statehood, free association/independence or the current territorial status
Officials said the 40,000 counterfeit condoms that were seized do not protect against pregnancy or sexually transmitted diseases
U.S. Coast Guard said it intercepted 65 Cubans trying to reach Florida or Puerto Rico since Jan. 12
Oscar Lopez Rivera had been sentenced to 55 years in jail but Obama commuted the sentence
Puerto Rico has already defaulted on several multimillion-dollar bond payments in recent months, angering creditors
Doctors say babies born without microcephaly to Zika-infected moms may still suffer other problems later on
With the island's economy in tatters, Puerto Rican voters are heading to Florida -- and changing the politics of the state in the process
Breeding program hopes to save brightly-colored crested toad from from the brink of extinction
It's unclear when power will be restored to the island of 3.5 million people
A baby born in Miami with Zika virus, despite showing no signs of it before birth, has medical professionals stumped
Fire breaks out in engine room of ship that runs between Puerto Rico, Dominican Republic
At the same time, Tehran is reviewing the latest U.S. proposal for a possible agreement to end the nearly three-month war.
Tulsi Gabbard is resigning as the director of national intelligence after her husband was diagnosed with a rare form of bone cancer.
Southern California officials have expanded evacuations in several Orange County cities due to concerns over a leaking toxic chemical tank that they say is "actively in crisis."
The three workers, who died in March, were "among the first known victims of the outbreak," the Red Cross said.
The secretary of state tempered optimism for a deal to end the Iran war, calling Iran's bid to "create a tolling system" in the Strait of Hormuz "not acceptable."
The GOP senator said the meeting included "screaming," adding that "fiery does not begin to cut it."
A federal district judge granted Kilmar Abrego Garcia's motion to dismiss two criminal charges on the grounds his prosecution was vindictive and selective.
The Trump administration on Friday announced a sweeping policy designed to make it harder for immigrants already in the U.S. to get permanent residency.
Kyle Busch's cause of death has not been given, though his family said earlier the NASCAR icon had been hospitalized with a "severe illness."
Kindness 101 is a program that uses the stories CBS News finds in our "On the Road" series to teach kindness and character. The stories are paired with lesson plans created by a nonprofit at Iowa's Drake University called "Character Counts!"
Perfecting SpaceX's mammoth rocket will be critical to NASA's plans for returning astronauts to the surface of the moon.
At the same time, Tehran is reviewing the latest U.S. proposal for a possible agreement to end the nearly three-month war.
Economists say AI is reshaping the U.S. labor market by suppressing hiring even as overall job losses remain limited.
Kyle Busch's cause of death has not been given, though his family said earlier the NASCAR icon had been hospitalized with a "severe illness."
Economists say AI is reshaping the U.S. labor market by suppressing hiring even as overall job losses remain limited.
Rep. James Comer is requesting information from Kalshi and Polymarket on how the prediction markets guard against insider trading.
Kevin Warsh has vowed to preserve the Fed's independence over monetary policy, telling lawmakers he will never "predetermine" interest rates at the president's request.
Landing a good-paying job may not be enough to buy a home. A new study finds family wealth plays an outsized role in who becomes a homeowner.
AI tools that autonomously perform tasks for users mark a major step forward from chatbots, according to tech experts.
The GOP senator said the meeting included "screaming," adding that "fiery does not begin to cut it."
At the same time, Tehran is reviewing the latest U.S. proposal for a possible agreement to end the nearly three-month war.
When CIA Director John Ratcliffe visited Havana last week to meet with senior Cuban officials, he brought along one of the covert operators involved in the mission to capture Nicolás Maduro, multiple people familiar with the matter said.
A federal district judge granted Kilmar Abrego Garcia's motion to dismiss two criminal charges on the grounds his prosecution was vindictive and selective.
The Trump administration on Friday announced a sweeping policy designed to make it harder for immigrants already in the U.S. to get permanent residency.
The three workers, who fell ill in March and died in May, were "among the first known victims of the outbreak," the Red Cross said.
Lucia Adarve had a long list of symptoms that no one could diagnose. Her mother Lisa was determined to find an answer.
The head of the World Health Organization says Ebola has killed at least 7 people in Congo, but the U.N. agency says it knows the epidemic "is much larger."
A new weight-loss drug, so new it is not on the market yet, is showing promising results in trials, doing much more than what current medications can. Dr. Jon LaPook breaks it down.
The U.S. is stepping up efforts to prevent Ebola from entering the country through its airports, with one flight diverted to Canada on Wednesday evening. Ian Lee reports from Detroit.
The three workers, who fell ill in March and died in May, were "among the first known victims of the outbreak," the Red Cross said.
The remains of four Italian divers who died deep inside an underwater cave have been repatriated. One other set of remains was returned earlier this month.
The incident marks China's deadliest mining accident in years.
At the same time, Tehran is reviewing the latest U.S. proposal for a possible agreement to end the nearly three-month war.
The satirical "Cockroach Janta Party" calls itself a "political front of the youth, by the youth, for the youth." India's government may be trying to squash it.
Disney's latest addition to the Star Wars franchise, "The Mandalorian and Grogu," is kicking off the summer slate of blockbusters. Some other highly-anticipated movies that will be tested at the box office this summer are Steven Spielberg's "Disclosure Day," "Toy Story 5" and "Supergirl." Lucas Shaw, managing editor for media and entertainment at Bloomberg News, joins "The Daily Report" to discuss.
Rob Base, the MC whose lyrics lit up the dancefloor classic "It Takes Two" and got countless people moving worldwide, passed away Friday.
The Indianapolis 500 is this Memorial Day Weekend, kicked off by the second annual Weenie 500. "Cook 'Em Cam" and "Jack and Cheese," whose New York dog won the race, join CBS News to discuss.
Major franchises are bringing new movies to a theater near you this summer. Fandango's Erik Davis joins with more.
A newly released video shows the California Highway Patrol's March 4, 2026, DUI arrest of pop star Britney Spears in Ventura County, California. Officers indicated they smelled alcohol on Spears and conducted a field sobriety test before she was placed in the back of a patrol car and taken to a hospital for a blood test to check for drugs. Spears voluntarily checked herself into rehab in April and pleaded guilty to reckless driving.
Amid concern about AI taking jobs, people see a range of motives by AI companies.
As thousands evacuate their homes in Southern California to flee the Sandy Fire, Ring doorbell and security cameras are helping residents and emergency crews stay informed and stay safe. Ring founder Jamie Siminoff joins CBS News to discuss the Fire Watch feature.
From labor shortages to environmental impacts, farmers are looking to AI to help revolutionize the agriculture industry. One California startup, Farm-ng, is tapping into the power of AI and robotics to perform a wide range of tasks, including seeding, weeding and harvesting.
A recent opinion piece in The New York Times spotlighted the impact of artificial intelligence on the 2026 graduating class at one of the world's most prestigious universities. The author, Stanford student Theo Baker, joins to discuss.
AI tools that autonomously perform tasks for users mark a major step forward from chatbots, according to tech experts.
The Pentagon has released another batch of never-before-seen files on reported UFO sightings. CBS News senior national security correspondent Charlie D'Agata reports.
The 2026 Atlantic hurricane season is quickly approaching, and the National Oceanic and Atmospheric Administration is releasing its forecast for what to expect.
The pictures represent the longest-distance ever seen between two pictures of the same humpback whale, researchers said.
Independent scientists say the technology, while impressive, lacks some components to be truly considered an artificial egg.
The upcoming El Niño could trigger frequent and widespread flooding in coastal areas around the United States, even when storms aren't actively taking place, scientists warn.
A woman is accused of opening fire outside a courthouse in Raleigh, North Carolina, and shooting two lawyers, police said.
In Raleigh, North Carolina, a woman's civil case turned into a criminal one after police said she shot two lawyers outside a courthouse. Both were hospitalized. Skyler Henry reports.
Six years after his murder in Minneapolis, and despite passing the House twice, the George Floyd Justice in Policing Act remains stalled in the Senate. Some lawmakers are hoping to change that. Democratic Rep. Glenn Ivey of Maryland and Minnesota Attorney General Keith Ellison join to reflect on the state of police reform.
The deadly attack at the Islamic Center of San Diego was streamed online, and at least three people watched as two teenagers attacked the facility filled with young students, CBS News' Anna Schecter reports.
A newly released video shows the California Highway Patrol's March 4, 2026, DUI arrest of pop star Britney Spears in Ventura County, California. Officers indicated they smelled alcohol on Spears and conducted a field sobriety test before she was placed in the back of a patrol car and taken to a hospital for a blood test to check for drugs. Spears voluntarily checked herself into rehab in April and pleaded guilty to reckless driving.
Perfecting SpaceX's mammoth rocket will be critical to NASA's plans for returning astronauts to the surface of the moon.
The new rocket features a host of upgrades intended to improve safety and performance of the world's most powerful rocket.
Elon Musk's SpaceX is moving ahead with plans to go public in what some expect will be the biggest IPO ever.
The International Space Station-bound SpaceX Cargo Dragon is loaded with 6,500 pounds of needed equipment, research gear and crew supplies.
Researchers expected to find "a gradual increase in artificial light at night," but instead saw "much more nuanced patterns," NASA said.
A look back at the esteemed personalities who've left us this year, who'd touched us with their innovation, creativity and humanity.
Does the evidence show a cover-up, or was Todd Kendhammer wrongfully convicted for the murder of his wife?
Christy Salters-Martin dominated in the boxing ring but faced her toughest challenger at home.
Family seeks answers in death of newlywed who disappeared in 2005 while on Mediterranean honeymoon cruise.
Meet the tattooed beauty charged in the death of Google executive Forrest Hayes.
SpaceX launched its revamped Super Heavy-Starship rocket on Friday, with some minor issues during the test, ahead of the company's highly anticipated initial public offering.
The U.S. has tightened its Ebola travel restrictions as more cases emerge in Africa and health officials battle misinformation about the virus.
A woman is accused of opening fire outside a courthouse in Raleigh, North Carolina, and shooting two lawyers, police said.
More details are emerging about the sudden illness that led to NASCAR legend Kyle Busch's shocking death at 41.
Tulsi Gabbard announced her resignation as director of national intelligence on Friday as the U.S. prepares for a fresh round of military strikes on Iran despite the current ceasefire.