El identificador de seguridad, máxima garantía de la tinta indeleble
El identificador de seguridad, máxima garantía de la tinta indeleble
Watch CBS News
El identificador de seguridad, máxima garantía de la tinta indeleble
En Tiempo Real: Candidatos mexicanos realizarán sus cierres de campaña
Caso de violación a niñas por parte de un maestro en el municipio de Ecatepec. El sujeto ya fue aprehendido e ingresado a la cárcel.
En Tiempo Real: Mayo de 2018, el mes más violento en la historia de México
Todo En Uno: Mexicana gana concurso internacional indígena de fotografia
Matan a candidato a alcaldía de Ocampo; van 2 en 24 horas en Michoacán
En Tiempo Real: Trump firma orden ejecutiva para detener separación de familias de migrantes
Con larvas, sucia y olor fétido, habitantes de Tláhuac reciben agua
Autoridades de la CDMX aseguran que no han perdido el control de la seguridad en la ciudad, tras la primera balacera entre policías y presuntos criminales.
Todo En Uno: Matan a otro candidato en Michoacán; suman 4 asesinados
Ya son 70 mil 817 paquetes de votos emitidos desde el extranjero
Exige SRE agilizar reencuentro de niña mexicana con su familia
En Tiempo Real: Una guerra de narcos deja dos heridos en plena avenida
Todo En Uno: Localizan a mexicano reportado como desaparecido en Rusia
Reportaje sobre la venta ilegal de gasolina en tlapalerías.
En Tiempo Real: México le gana a Alemania en el Mundial
Todo En Uno: Asesinan a otro candidato de Morena en Guanajuato
Historia de las únicas mujeres subcampeonas de fútbol que México ha tenido en la historia.
En Tiempo Real: Tren Interurbano México-Toluca no estará listo este año
Todo En Uno: EPN desea éxito a la Selección Mexicana en inicio del Mundial.
En Tiempo Real: Nacho Lozano presenta lo peor del debate presidencial en Mexicano
Así será el tercer debate presidencial
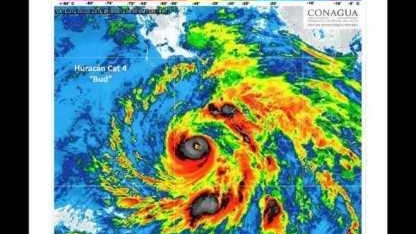
Bud baja a categoría 3; se esperan lluvias en varios estados
Conoce el camión más mexicano que llegará al Mundial de Rusia
Evalúan daños causados por inundaciones en Zapopan
Trump says British leader Keir Starmer has "time to recover" from the latest scandal over his decision to tap an Epstein associate as his U.S. ambassador.
President Trump recently encouraged the U.K. to "drill baby, drill" in the oil-rich North Sea.
The Russian mission included two supersonic Tu-22M3s, as well as about 10 fighters, the French detachment said.
Nearly 500 alleged MS-13 members, including several alleged leaders, are on trial collectively in El Salvador, accused of thousands of murders.
With a two-week ceasefire set to expire and Iran balking at the resumption of peace talks, President Trump said he would be extending the deadline to allow for Iran to "come up with a unified proposal."
The crash, following an operation to destroy a clandestine drug lab, has reignited a debate over U.S. involvement in Mexican security operations.
Mexico's security officials said a gunman opened fired at the popular tourist spot, killing a Canadian woman and injuring at least 13 people, including six Americans.
Less than 48 hours after President Trump said Iran has "agreed to everything," he threatened the whole country would get "blown up" without a deal soon.
Jewish Iranians tell CBS News the war with Israel has brought conflicting emotions, and they wish leaders in both countries would "let us live in peace."
"Am I gonna replace a controller and have AI manage the airspace? The answer to that is hell no, that's not gonna happen," Transportation Secretary Sean Duffy told CBS News.
Sheridan Gorman, an 18-year-old Loyola freshman, was shot and killed in Chicago last month and an undocumented immigrant from Venezuela is under arrest.
After the mass shooting in Shreveport, Louisiana, advocates are urging policymakers to reform domestic violence and gun control legislation.
The agreement, which was signed this fall, ensures donor anonymity, establishes a fee structure and institutes a ban on foreign contributions.
Attorney General James Uthmeier said his office launched a criminal investigation into OpenAI after reviewing conversation logs between ChatGPT and a Florida State University student accused of killing two people last year.
The Consumer Federation of America accused Meta of allowing scam advertisements to "proliferate on its platforms."
Shippers have pledged to share refunds with customers who paid tariffs once the government issues refunds.
It could take months for U.S. gas prices to recede to their level before the outbreak of war in Iran, economists and energy experts say.
Warsh, nominated by President Trump to replace Fed Chair Jerome Powell, also said he'll work with the White House on some matters.
President Trump is fighting to reshape the Federal Reserve by replacing Chair Jerome Powell with Kevin Warsh — but if the Senate doesn't confirm Warsh by next month, it's not clear who will run the nation's central bank.
Virginia voters on Tuesday approved a new congressional map that would give Democrats an advantage in 10 House districts, leaving just one safe Republican seat, CBS News projects.
"Am I gonna replace a controller and have AI manage the airspace? The answer to that is hell no, that's not gonna happen," Transportation Secretary Sean Duffy told CBS News.
The agreement, which was signed this fall, ensures donor anonymity, establishes a fee structure and institutes a ban on foreign contributions.
Congress asks experts, advocates and victims how to combat hospice fraud, after a CBS News investigation uncovered widespread signs of potential fraud in California.
President Trump said he's extending the ceasefire until Iran has submitted a proposal in talks with the U.S. "and discussions are concluded."
Work requirements will encourage people who are able to work to seek and maintain jobs, proponents say. But researchers haven't found that they lower the unemployment rate.
Former Trump Surgeon General Dr. Jerome Adams described Dr. Erica Schwartz as a "home run pick."
The order will open the door for more research into psychedelic drugs, including ibogaine, sources told CBS News earlier this week.
Casey Gould wanted to be a mom her whole life. Her long-awaited pregnancy went smoothly — until she saw something alarming.
President Trump nominated a new director for the Centers for Disease Control and Prevention on Thursday. Dr. Erica Schwartz is a former deputy surgeon general and retired Coast Guard rear admiral.
Trump says British leader Keir Starmer has "time to recover" from the latest scandal over his decision to tap an Epstein associate as his U.S. ambassador.
President Trump recently encouraged the U.K. to "drill baby, drill" in the oil-rich North Sea.
The Russian mission included two supersonic Tu-22M3s, as well as about 10 fighters, the French detachment said.
Nearly 500 alleged MS-13 members, including several alleged leaders, are on trial collectively in El Salvador, accused of thousands of murders.
With a two-week ceasefire set to expire and Iran balking at the resumption of peace talks, President Trump said he would be extending the deadline to allow for Iran to "come up with a unified proposal."
New data shows interest in vinyl records is only getting stronger, with social media and and special releases from artists like Taylor Swift helping drive the trend. Jarred Hill has more.
Opening statements have concluded in Harvey Weinstein's New York rape retrial. CBS News' Jericka Duncan has more.
Singer D4vd appeared in court Monday, hours after prosecutors announced he would be charged with first-degree murder in the death of 14-year-old Celeste Rivas Hernandez. Matt Gutman reports.
Los Angeles prosecutors on Monday charged singer D4vd in the murder of a 14-year-old girl whose dismembered body was found in his car last year. CBS News chief correspondent Matt Gutman has the details.
"Matlock" stars Skye P. Marshall and Jason Ritter join CBS News with more clues ahead of the show's season finale.
"Am I gonna replace a controller and have AI manage the airspace? The answer to that is hell no, that's not gonna happen," Transportation Secretary Sean Duffy told CBS News.
Tim Cook announced he would be stepping down as Apple CEO on Monday. Jo Ling Kent reports on John Ternus, the mechanical engineer preparing to take the wheel.
From labor shortages to environmental impacts, farmers are looking to AI to help revolutionize the agriculture industry. One California startup, Farm-ng, is tapping into the power of AI and robotics to perform a wide range of tasks, including seeding, weeding and harvesting.
Apple CEO Tim Cook will step down in September after 15 years at the helm of the company. CBS Sunday Morning correspondent David Pogue joins to discuss Cook's legacy and where Apple's future could lead.
Attorney General James Uthmeier said his office launched a criminal investigation into OpenAI after reviewing conversation logs between ChatGPT and a Florida State University student accused of killing two people last year.
"This experiment's never been run before on another world," said Amy Williams, an astrobiologist working on the Curiosity mission.
The process of making 30 billion tons of concrete every year produces more carbon pollution than all the world's ships and planes put together. Now, the North Carolina and Denmark-based Biomason is using biotechnology, including naturally-occurring microbes, to create "biocement" that's just as sturdy but emits much less CO2. David Pogue reports.
Over the past century, the cultivation and processing of wheat has led to strains of grain that are less nutritious, less flavorful, and more vulnerable to climate change. The researchers at Breadlab, at Washington State University, are trying to breed varieties of whole grains that are better for farmers, consumers – and taste buds. David Pogue reports.
The renewable energy company Panthalassa says it has a solution to the proliferation of AI data centers, which consume massive amounts of energy and are the cause of increased carbon pollution: sea-based data centers, powered by wave energy.
The renewable energy company Panthalassa says it has a solution to the proliferation of AI data centers, which consume massive amounts of energy and are the cause of increased carbon pollution: sea-based data centers, powered by wave energy. Correspondent David Pogue examines what Panthalassa's alternative to land-based data centers may mean.
The Justice Department on Tuesday announced fraud charges against the Southern Poverty Law Center over its nonprofit investigations into extremist groups. CBS News justice reporter Jake Rosen has the details.
Mexican authorities say a gunman atop the Pyramid of the Moon, one of Mexico's most popular archaeological sites, shot at tourists and taunted first responders on Monday. CBS News chief correspondent Matt Gutman reports on the new details.
After the mass shooting in Shreveport, Louisiana, advocates are urging policymakers to reform domestic violence and gun control legislation.
The FBI is investigating possible connections in the cases of 10 missing or dead scientists and staff who worked at sensitive nuclear or space technology laboratories. CBS News' Anna Schecter reports.
Attorney General James Uthmeier said his office launched a criminal investigation into OpenAI after reviewing conversation logs between ChatGPT and a Florida State University student accused of killing two people last year.
"This experiment's never been run before on another world," said Amy Williams, an astrobiologist working on the Curiosity mission.
The launching appeared to go off without a hitch, but a problem prevented the rocket's upper stage from putting its payload into the correct orbit.
"We are carrying back everything we learned, not only about where we went but ourselves," mission specialist Christina Koch told "CBS Evening News" anchor Tony Dokoupil.
The four Artemis II astronauts struggled to describe the view and overall experience of flying around the moon's far side and witnessing a solar eclipse in deep space.
People on the ground in the Eastern Hemisphere will be able to observe the asteroid with their own eyes, weather permitting, according to NASA.
A look back at the esteemed personalities who've left us this year, who'd touched us with their innovation, creativity and humanity.
Does the evidence show a cover-up, or was Todd Kendhammer wrongfully convicted for the murder of his wife?
Christy Salters-Martin dominated in the boxing ring but faced her toughest challenger at home.
Family seeks answers in death of newlywed who disappeared in 2005 while on Mediterranean honeymoon cruise.
Meet the tattooed beauty charged in the death of Google executive Forrest Hayes.
Congresswoman Sheila Cherfilus-McCormick resigned on Tuesday, minutes before her House Ethics hearing to determine whether she should be sanctioned for allegations of theft and other misconduct. Lawmakers on Capitol Hill shared their reaction.
New data shows interest in vinyl records is only getting stronger, with social media and and special releases from artists like Taylor Swift helping drive the trend. Jarred Hill has more.
Gift registries are common for baby showers and weddings, but now people are turning to them for one of life's toughest moments. Evyn Moon looks at the growing trend of divorce registries.
The 2026 outlook for ticks shows cases of Lyme disease are expected to rise and the CDC is reporting the most weekly emergency room visits for tick bites, for this time of year, in at least a decade. Bradley Blackburn has more on how you can protect yourself.
Over the past several days, President Trump has made multiple statements on the U.S. goal to seize Iran's "nuclear dust." "The Daily Report" dives into what the president means by "nuclear dust" and how much Iran has. Will Todman, the chief of staff of the Geopolitics and Foreign Policy Department at CSIS, has more analysis.