AP Photo/Brennan Linsley
Children sit in their yard strewn with debris from Hurricane Ike, on Great Inagua Island, in the southern Bahamas, Tuesday, Sept. 9, 2008. Ike was a category 4 hurricane as it passed over Great Inagua on Sept. 7.
AP Photo/Brennan Linsley
A general view of the damage produced by Hurricane Ike, shot from a U.S. Coast Guard helicopter, over Grand Turk, in the Turks & Caicos Islands, Tuesday, Sept. 9, 2008. A small Coast Guard helicopter detachment is deployed to help out Turks and Caicos in the aftermath of Hurricane Ike.
AP Photo/Javier Galeano
A resident wades through flood waters after Hurricane Ike hit the area in Florida, Cuba, Tuesday, Sept. 9, 2008. Hurricane Ike roared ashore south of Cuba's densely populated capital of aging buildings Tuesday after tearing across the island nation, ravaging homes, killing at least four people and forcing 1.2 million to evacuate.
AP Photo
A man stands behind a fallen tree caused by Hurricane Ike in Holguin, Cuba, Tuesday, Sept. 9, 2008.
AP Photo/Javier Galeano
Residents ride their bicycles past a blown-over billboard after Hurricane Ike hit the area in Florida, Cuba, Tuesday, Sept. 9, 2008.
AP Photo/Nicolas Garcia
A man shovels mud out of his house in Cabaret, Haiti, Tuesday, Sept. 9, 2008. After raking the Bahamas and worsening floods in Haiti that have killed at least 331 people, Ike made landfall on eastern Cuba as a Category 3 hurricane, then weakened Monday as it ran along the length of the Caribbean's largest island.
AP Photo/Lynne Sladky
Waves crash on the White Street pier in Key West, Fla. Tuesday, Sept. 9, 2008. Hurricane Ike is passing to the south over Cuba. The storm surge from Hurricane Ike is causing minor flooding in Key West.
AP Photo
A car sits under rubble after Hurricane Ike hit the area in Holguin, Cuba, Monday, Sept. 8, 2008. Ike, which raked the Bahamas and worsened floods in Haiti that have killed more than 300 people, made landfall on Cuba as a Category 3 hurricane, then weakened Monday to Category 2 as it ran along the length of the Caribbean's largest island.
AP Photo/Javier Galeano
A man walks through a street under heavy rains produced by Hurricane Ike in Camaguey, Monday, Sept. 8, 2008. Ike roared across Cuba on Monday, causing the evacuation of some 900,000 Cubans from its path, which forecasters said could take it to Louisiana or Texas later this week.
AP Photo/Javier Galeano
A vehicle sits under rubble during heavy rains produced by Hurricane Ike in Camaguey, Monday, Sept. 8, 2008.
AP Photo/Javier Galeano
Residents leave their damaged homes after Hurricane Ike hit the area in Camaguey, Cuba, Monday, Sept. 8, 2008.
AP Photo/Ariana Cubillos
A man carries a girl on his shoulders as he wades through a flooded street in Gonaives, Haiti, Monday, Sept. 8, 2008. Four storms have killed more than 300 people in Haiti in less than a month.
AP Photo/Brennan Linsley
A man stands inside a house destroyed by Hurricane Ike, on the island of Grand Turk, in the Turks & Caicos Islands, Monday, Sept. 8, 2008. Ike was a Category 4 hurricane as it roared across the low-lying Turks and Caicos island chain Sunday, where people in this British territory sought refuge in emergency shelters or in their homes.
AP Photo/Brennan Linsley
Hurricane Ike blows through the trees just after daybreak on the island of Providenciales, in the Turks & Caicos Islands, Sunday, Sept. 7, 2008. Ike roared across the low-lying Turks and Caicos island chain before dawn Sunday as people in the British territory sought refuge in emergency shelters or in their homes.
AP Photo/Brennan Linsley
Two men walk along a flooded street through driving rain and wind caused by Hurricane Ike, on the island of Providenciales, in the Turks & Caicos Islands, Sunday, Sept. 7, 2008. Ike roared across the low-lying Turks and Caicos island chain before dawn Sunday as people in the British territory sought refuge in emergency shelters or in their homes.
AP Photo/Brennan Linsley
Christopher Soudelis sits on a cot next to his sleeping father, at a makeshift shelter in a church after Hurricane Ike blew through the island of Providenciales, in the Turks & Caicos Islands, Sunday, Sept. 7, 2008.
AP Photo/Brennan Linsley
Two men walk along a flooded street through driving rain and wind from Hurricane Ike, on the island of Providenciales, in the Turks & Caicos Islands, Sunday, Sept. 7, 2008.
AP Photo/Nicolas Garcia
Residents stand on the second floor of a house damaged by Hurricane Ike in Cabaret, Haiti, Sunday, Sept. 7, 2008. Five adults and five children drowned overnight in Cabaret north of Port-au-Prince, with Haiti's overall death toll at least 319 from four tropical storms in recent weeks.
AP Photo/Ariana Cubillos
A woman holds her baby as they wait outside a food distribution center where Bolivian UN peacekeepers guard the entrance in Gonaives, Haiti, Sunday, Sept. 7, 2008.
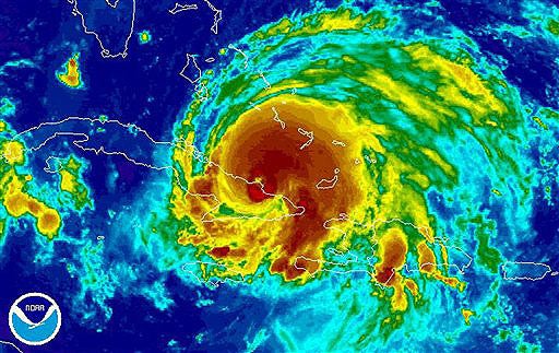
AP Photo/NOAA
This satellite image from 10:15pm EDT shows Hurricane Ike on Sunday, Sept. 7, 2008. The National Hurricane Center in Miami says the powerful hurricane roared ashore in eastern Cuba. The center said Ike slammed into Cuba's Holguin province Sunday as a dangerous Category 3 storm.