Aaron Favila/AP
Survivors cover their noses from the stench of bodies left on streets of typhoon-ravaged Tacloban city, Leyte province, central Philippines, Nov. 11, 2013.
Typhoon Haiyan-ravaged Philippine islands faced a daunting relief effort that had barely begun Monday, as bloated bodies lay uncollected and uncounted in the streets and survivors pleaded for food, water and medicine.
Bullit Marquez/AP
Devastation caused by typhoon Haiyan in Guiuan, Eastern Samar province, central Philippines, Nov. 11, 2013.
Bullit Marquez/AP
New-born baby Bea Joy is held as mother Emily Ortega, 21, rests after giving birth at an improvised clinic at Tacloban airport, Nov. 11, 2013 in Tacloban city, Leyte province in central Philippines.
Bea Joy was named after her grandmother Beatrice, who was missing following the onslaught of typhoon Haiyan. Ortega was in an evacuation center when the storm surge hit and flooded the city. She had to swim to survive before finding safety at the airport.
Aaron Favila/AP
A survivor writes a message on their port to call for help at typhoon-ravaged Tacloban city, Leyte province central Philippines, Nov. 11, 2013.
Bullit Marquez/AP
A cut-off road caused by Typhoon Haiyan in Guiuan, Eastern Samar province, central Philippines, Nov. 11, 2013.
Bullit Marquez/AP
Residents rebuild their homes following Friday's typhoon Haiyan, that lashed Hernani township, Eastern Samar province, central Philippines, Nov. 11, 2013.
Bullit Marquez/AP
The devastation of the first landfall by typhoon Haiyan, in Guiuan, Eastern Samar province, central Philippines, Nov. 11, 2013.
Bullit Marquez/AP
Residents walk past debris as others rebuild their houses, Nov. 11, 2013, following Friday's devastating typhoon that lashed Hernani township, Eastern Samar province, central Philippines.
Aaron Favila/AP
Survivors move past the damage caused by Typhoon Haiyan in Tacloban city, Leyte province central Philippines, Nov. 11, 2013.
Ryan Lim/Malacanang Photo Bureau/AP
Tacloban city, Leyte province in central Philippines, is seen after Typhoon Haiyan ravaged the region in the Philippines, Nov. 10, 2013.
Aaron Favila/AP
A ship lies on top of damaged homes after it was washed ashore in Tacloban city, Leyte province, central Philippines, Nov. 10, 2013.
Typhoon Haiyan, one of the most powerful storms on record, slammed into six central Philippine islands on Friday, leaving a wide swath of destruction. It is feared that thousands are dead.
Ryan Lim/Malacanang Photo Bureau via Getty Images
Buildings destroyed by Typhoon Haiyan in Leyte province, Philippines, Nov.10, 2013.
Noel Celis/AFP/Getty Images
Residents cross a collapsed highway caused by storm surge in Palo, eastern island of Leyte, three days after the devastating Typhoon Haiyan hit the area, Nov. 10, 2013.
Ted Aljibe/AFP/Getty Images
A man covering his face with a mask rides past dead bodies littered along a road in Tacloban, on the eastern island of Leyte, Nov. 10, 2013, after Super Typhoon Haiyan swept over the Philippines.
Bullit Marquez/AP
The hand of a dead body lies in water after Typhoon Haiyan hit Tacloban city, Leyte province central Philippines, Nov. 10, 2013. The city remains littered with debris from damaged homes. Scores of people were dead.
Aaron Favila/AP
A resident passes by a toppled car outside an airport terminal after the powerful Typhoon Haiyan slammed into Tacloban city, Leyte province central Philippines, Nov. 9, 2013.
Bullit Marquez/AP
Residents walk past devastation -- including the bodies of victims -- brought about by powerful Typhoon Haiyan, Nov. 10, 2013, in Tacloban city in Leyte province in central Philippines.
Jeoffrey Maitem/Getty Images
Submerged cars sit in flood waters in the aftermath of Typhoon Haiyan, in Tacloban, Leyte, Philippines, Nov. 10, 2013.
Bullit Marquez/AP
Residents stand outside damaged structures in Tacloban city, Leyte province central Philippines, Nov. 10, 2013. The city remains littered with debris from damaged homes as many complain of shortage of food, water and no electricity.
Bullit Marquez/AP
A view of the central Philippines city of Tacloban, devastated by the powerful Typhoon Haiyan, Nov. 9, 2013. The city was in ruins Saturday, a day after being ravaged by one of the strongest typhoons on record, as horrified residents spoke of storm surges as high as trees. Authorities said they were expecting a "very high number of fatalities."
Dondi Tawatao/Getty Images
Damaged vehicles are seen in the aftermath of Typhoon Haiyan, in Tacloban City, Leyte, Philippines, Nov. 10, 2013.
Chester Baldicantos/AP
People remove fallen trees from a road in Daanbantayan town, north Cebu, central Philippines, after Typhoon Haiyan hit the region, Nov. 10, 2013.
Noel Celis/AFP/Getty Images
People walk among debris and destroyed houses in Palo, eastern island of Leyte, three days after the devastating Typhoon Haiyan hit the area, Nov. 10, 2013.
Noel Celis/AFP/Getty Images
Residents carry a mattress taken from a hotel in Palo, eastern island of Leyte, three days after the devastating Typhoon Haiyan hit the area, Nov. 10, 2013.
Raul Banias/AFP/Getty Images
Devastation in the aftermath of Super Typhoon Haiyan that smashed into coastal communities on the central Philippines in Iloilo, Nov. 9, 2013.
Ryan Lim/Malacanang Photo Bureau via Getty Images
Buildings destroyed by Typhoon Haiyan in Leyte province, Philippines, Nov. 10, 2013.
Raul Banias/AFP/Getty Images
Devastation in the aftermath of Super Typhoon Haiyan that smashed into coastal communities on the central Philippines in Iloilo, Nov. 9, 2013.
Tara Yap/AFP/Getty Images
People look at a damaged village hall in the aftermath of Super Typhoon Haiyan, in Iloilo, Nov. 9, 2013.
Bullit Marquez/AP
A vehicle lies amidst debris brought about by the powerful typhoon Haiyan that hit Tacloban city, in Leyte province in central Philippines, Nov. 9, 2013.
Aaron Favila/AP
People stay outside the remains of a damaged airport terminal after powerful Typhoon Haiyan slammed into Tacloban city, Leyte province in the central Philippines, Nov. 9, 2013.
Raul Banias/AFP/Getty Images
Devastation in the aftermath of Super Typhoon Haiyan that smashed into coastal communities on the central Philippines in Iloilo, Nov. 9, 2013.
Noel Celis/AFP/Getty Images
A mother weeps beside the dead body of her son, in the aftermath of Super Typhoon Haiyan, at a chapel in Tacloban, eastern island of Leyte, Nov. 9, 2013.
Charism Sayat/AFP/Getty Images
Residents stand along a sea wall as high waves pounded them amidst strong winds as Typhoon Haiyan hit the city of Legaspi, Albay province, south of Manila, Nov. 8, 2013.
NOAA/Getty Images
Super Typhoon Haiyan moves towards the Philippines in the Pacific Ocean, Nov. 7, 2013.
Jay Directo/AFP/Getty Images
A sign at the Philippine Airlines counter at Manila International airport warns people that their flights have been cancelled due to Super Typhoon Haiyan which struck the central Philippines, Nov. 8, 2013.
One of the most intense typhoons ever recorded tore into the Philippines, triggering flash floods and ripping down buildings as millions of people huddled indoors.
Jay Directo/AFP/Getty Images
A Philippine Airlines plane stands parked on the tarmac at Manila's International airport, Nov. 8, 2013.
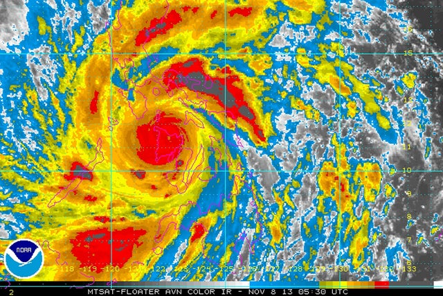
NOAA/AP
Typhoon Haiyan as it crosses the Philippines, Nov. 8, 2013.
Weather officials say that Haiyan had sustained winds at 147 miles per hour, with gusts of 170 mph when it made landfall.
Jay Directo/AFP/Getty Images
A Philippine Airlines plane stands parked on the tarmac at Manila's International airport on Nov. 8, 2013.
Robert Vinas/AP
In this photo released by the Malacanang Photo Bureau, Philippine President Benigno Aquino III speaks about Typhoon Haiyan during a nationally televised address at the Malacanang palace in Manila, Philippines, Nov. 7, 2013.
NASA/AP
Typhoon Haiyan taken by the Aqua satellite, Nov. 8, 2013, at 12:15 a.m. EST as it passed over the Philippines.
Charism Sayat/AFP/Getty Images
A resident walks past high waves pounding the sea wall amidst strong winds as Typhoon Haiyan hit the city of Legaspi, Albay province, south of Manila, Nov. 8, 2013.
Charism Sayat/AFP/Getty Images
A fisherman secures his wooden fishing boat along the sea wall amidst strong winds as Typhoon Haiyan hit the city of Legaspi, Albay province, south of Manila, Nov. 8, 2013.
AFP/Getty Images
A resident runs past an uprooted tree amidst strong winds as Typhoon Haiyan pounded Cebu City, in central Philippines, Nov. 8, 2013.
AFP/Getty Images
A mother and her children brave heavy rains as they head for an evacuation center amidst strong winds as Typhoon Haiyan pounded Cebu City, in central Philippines, Nov. 8, 2013.
AFP/Getty Images
A man walks away from the shoreline as Super Typhoon Haiyan smashs into coastal communities on the central island of Cebu on Nov. 8, 2013.
AFP/Getty Images
A man walks by the shoreline as Super Typhoon Haiyan smashes into coastal communities on the central island of Cebu, Nov. 8, 2013.
Julius Mariveles/AFP/Getty Images
People stand at the pier as Super Typhoon Haiyan smashes into coastal communities on the central island of Bacalod, Nov. 8, 2013.
Julius Mariveles/AFP/Getty Images
A Ro-Ro boat is moored at a pier as Super Typhoon Haiyan smashes into coastal communities on the central island of Bacolod, Nov. 8, 2013.
Nelson Salting/AP
Soldiers make the rounds to enforce the evacuation of residents as powerful typhoon Haiyan hits Legazpi city, 325 miles south of Manila, Philippines, Nov. 8, 2013.
Nelson Salting/AP
A house is engulfed by the storm surge brought about by powerful typhoon Haiyan that hit Legazpi city, Nov. 8, 2013.
Nelson Salting/AP
Residents sift through the shoreline amidst a storm surge brought about by powerful typhoon Haiyan at Legazpi city, Nov. 8, 2013.
Nelson Salting/AP
Residents living near the slopes of Mayon volcano are evacuated to public schools by police in anticipation of the powerful typhoon Haiyan that threatened Albay province and several provinces in central Philippines, Nov. 7, 2013.
Aaron Favila/AP
A Filipino worker ties up a giant billboard along a busy highway as they prepare for the possible effects of powerful Typhoon Haiyan in suburban Makati, south of Manila, Philippines, Nov. 7, 2013.
Nelson Salting/AP
A man reinforces his house with banana stalks as powerful typhoon Haiyan hits Legazpi city, Albay province, Philippines, Nov. 8, 2013.
Chester Baldicantos/AP
Workers examine the damage after a giant Christmas tree was toppled by strong winds at the onslaught of the powerful typhoon Haiyan that hit the island province of Cebu, Philippines, Nov. 8, 2013.
Aaron Favila/AP
Filipino workers bring down a giant billboard along a busy highway as they prepare for the possible effects of powerful Typhoon Haiyan in suburban Makati, south of Manila, Philippines, Nov. 7, 2013.
Aaron Favila/AP
A Filipino worker brings down a giant billboard along a busy highway to prepare for the possible effects of powerful Typhoon Haiyan in suburban Makati, Nov. 7, 2013.
Nelson Salting/AP
Huge waves brought about by powerful typhoon Haiyan hit the shoreline in Legazpi city, Albay province, Nov. 8, 2013.
Chester Baldicantos/AP
Residents clear a road after trees were toppled by strong winds at the onslaught of powerful typhoon Haiyan that hit the island province of Cebu, Philippines, Nov. 8, 2013.
Chester Baldicantos/AP
Residents clear the road after a tree was toppled by strong winds and damaged a van at the onslaught of powerful typhoon Haiyan that hit the island province of Cebu, Philippines, Nov. 8, 2013.
Nelson Salting/AP
Debris litter the road by the coastal village in Legazpi city following a storm surge brought about by powerful Typhoon Haiyan in Albay province, Nov. 8, 2013.
Nelson Salting/AP
Residents living near the slopes of the Mayon volcano are evacuated to public schools by police in anticipation of the powerful typhoon Haiyan that threatened Albay province and several provinces in central Philippines, Nov. 7, 2013.