Baltimore's Key Bridge replacement could be taller than the original, renderings show
BALTIMORE -- Baltimore's Francis Scott Key Bridge could be 45 feet taller when rebuilt, according to preliminary renderings from the Maryland Transportation Authority (MDTA).
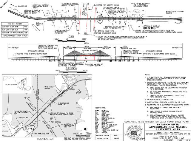
In August, the agency submitted an application to the U.S. Coast Guard, including its initial plans for the rebuild.
It comes almost nine months after the bridge was struck by a container ship, causing it to collapse into the Patapsco River. The collapse sent eight construction workers into the water below. Six of them died.
The plans for a new Key Bridge were made public this week as the effort to rebuild moves forward.
Improving protection around the Key Bridge
In its application, the MTA proposed that the bridge be rebuilt 230.9 feet above the water, as opposed to 185 feet, the height of the original bridge.
MDTA also proposes changes to the Key Bridge's pier protection system that would require excavation below the water.
Those changes include adding six dolphins to the reconstructed bridge. Dolphins are the concrete masses, usually located behind and in front of a bridge, to protect it from impacts.
The original Francis Scott Key Bridge had four dolphins.
Feedback from mariners
The application and renderings are only intended to generate feedback from mariners and other parties, according to the MDTA.
In the documents, officials ask mariners to provide navigational information like the sizes and types of vessels that they often use on the waterway.
"Mariners are requested to comment on the navigational clearances and need for bridge protective systems, clearance gauges, and navigational lighting on the proposed bridge," MDTA officials said.
The application further asks mariners if the proposed specifications will meet the needs of their boats.
The deadline for the feedback is December 7.
MDTA clarified that the plans are to provide an opportunity for feedback, and should not be considered the final bridge plan as that is yet to be determined.
Officials with MDTA shared the following statement:
"The application and the conceptual plans are referenced in a public notice issued by the Coast Guard on November 6, 2024. The purpose of the Coast Guard's public notice is to provide the public an opportunity to give comments on navigational issues related to the replacement of the Francis Scott Key Bridge. While a bridge type is depicted in the conceptual plans for the purposes of illustrating impacts, it should not be interpreted that the final bridge configuration has been determined. The focus of the notice is to provide information on the proposed navigational clearances and concerns with the proposed bridge location."
Funding the Key Bridge rebuild
In August, the MDTA approved a $73 million contract for Kiewit Infrastructure Company to design and construct the new Key Bridge.
The company estimates the rebuild will cost about $1.2 billion. Construction is expected to begin in 2025 and finish in 2028. Officials said a more accurate estimate would be made halfway through phase one of the project.
It is still unclear who will fund the rebuild, as President Joe Biden and Maryland lawmakers continue to push for Congress to approve funding for the project.
"I'm confident that we will have this bridge up in 2028, but in order to do that we've got to get working now," Maryland Gov. Wes Moore said. "I believe in doing things on time and on budget, and that means let's start the process now."
In a letter to Congress Monday, President Biden requested $100 billion in disaster funds from Congress to be used in several states impacted by natural disasters, including Maryland.
The cost of a new bridge is expected to be near $2 billion.
